Published August 13, 2020
| Version v1
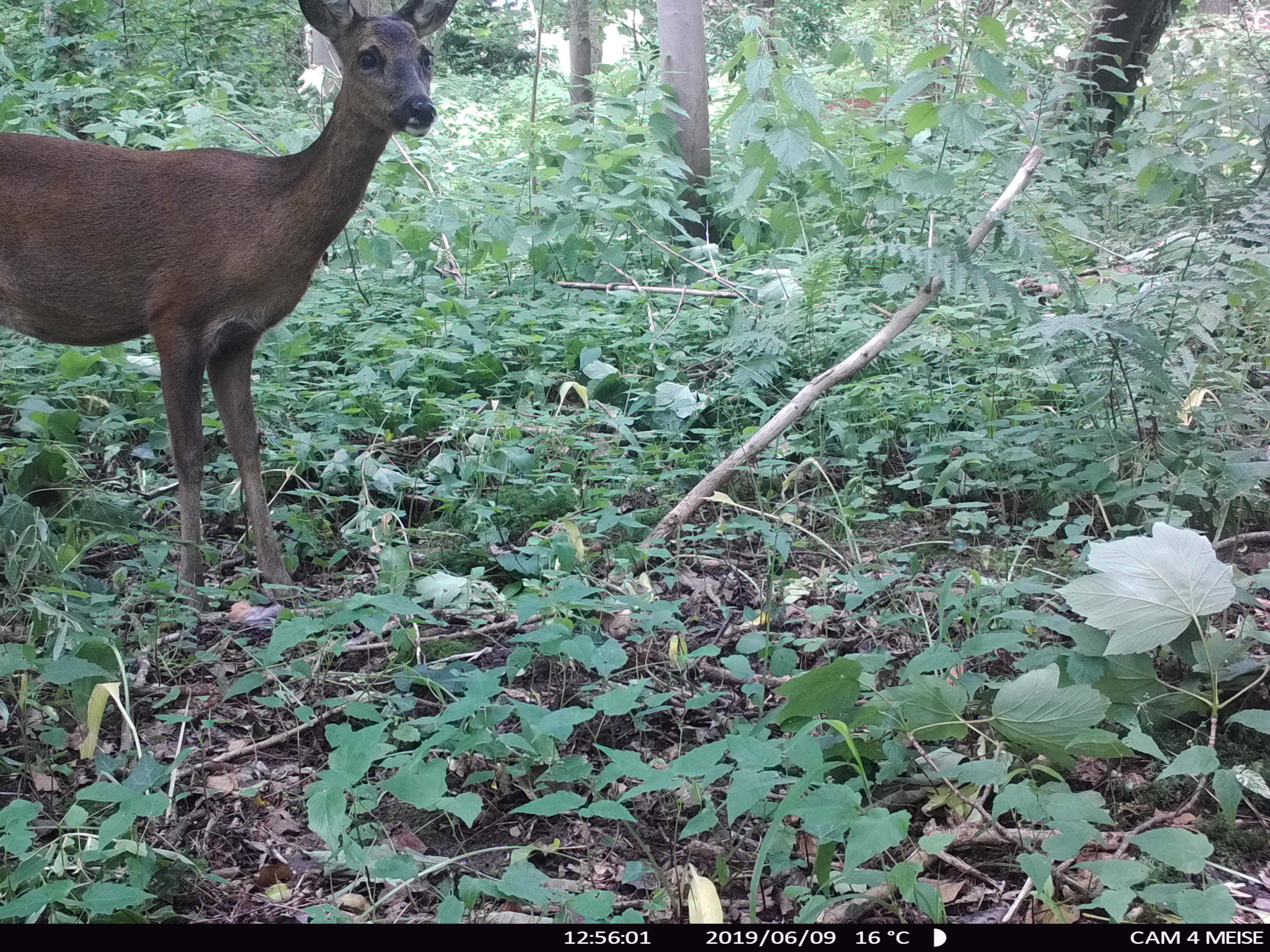
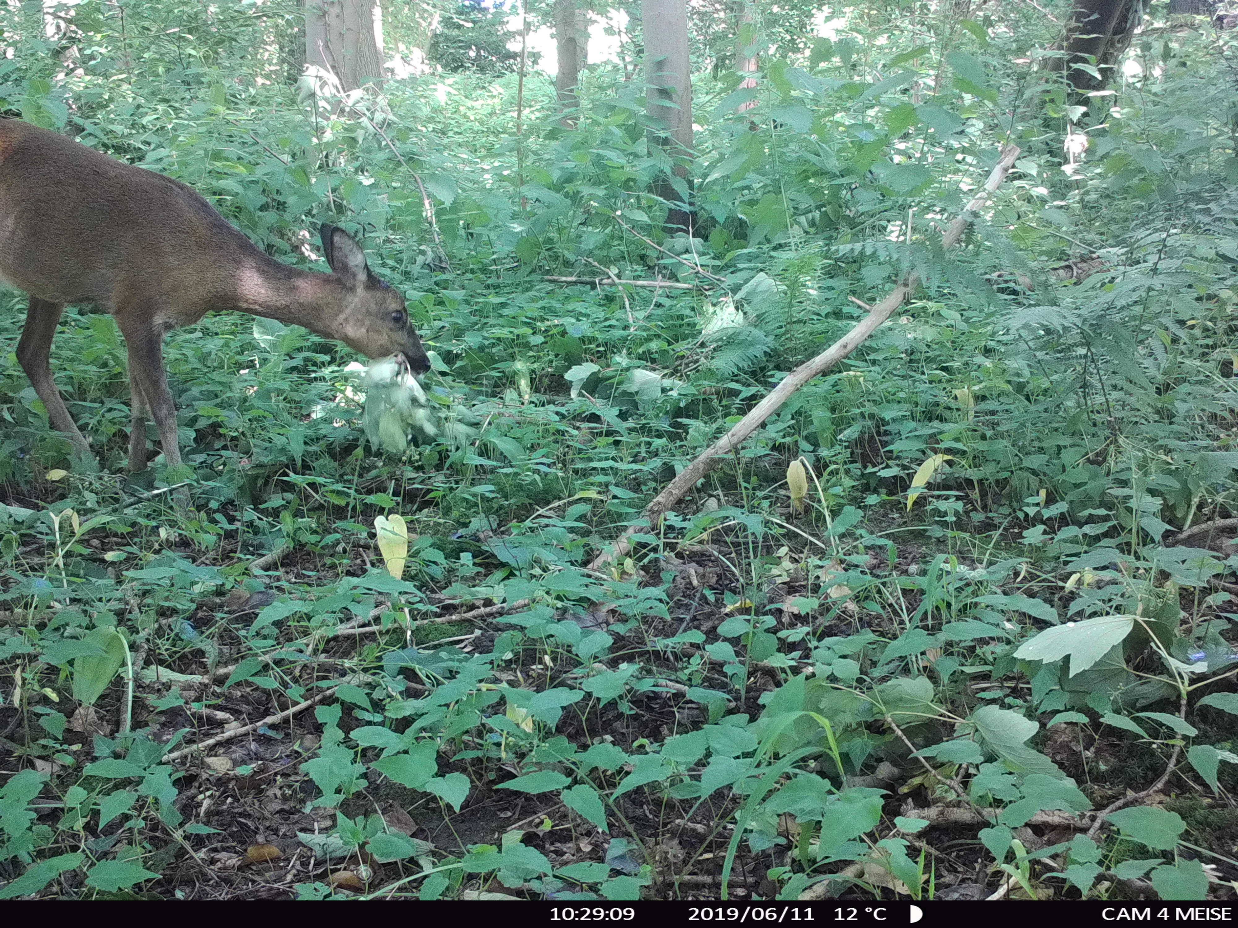
Photo
Open
DoeDat Camera Trap Project 3687192 (Meise Botanic Garden)
Creators
Description
A project on the DoeDat platform of Meise Botanic Garden. Footage of camera traps is offered to volunteers for identification of the animals visible, if any. This deposition is an archive of the images in this project as well as the transcription results formatted in Darwin Core.
Files
Project-3687192-DwC-occ.csv
Files
(1.7 GB)
Name | Size | Download all |
---|---|---|
md5:ec8d7c82b73dd9a6b3a1c3d37e64edc9
|
245.1 kB | Preview Download |
md5:dbe679b54c54ed0fb3fb9348d9ef47ca
|
2.4 MB | Preview Download |
md5:dc9cfd6fe9e83dfefb1316df4924640c
|
2.4 MB | Preview Download |
md5:6d5a55329fd7218220e82a3705c52070
|
2.4 MB | Preview Download |
md5:2f76066cc91c3bec41dffbd41e430e7b
|
2.4 MB | Preview Download |
md5:270b96f83ba0b6d8ed4a60061b099fc6
|
2.4 MB | Preview Download |
md5:d315001fea76bc778e11d618161c610d
|
2.4 MB | Preview Download |
md5:45284c4e3266c7f92e6578bd5c0c8f13
|
2.4 MB | Preview Download |
md5:57dce2d479025f7de9a95351d561dd87
|
2.4 MB | Preview Download |
md5:fd2bb9b6c508178d3010d52418141ab7
|
2.4 MB | Preview Download |
md5:a12133e5490a06fb2802a70abb31b55c
|
2.4 MB | Preview Download |
md5:64aae00a516b6789c81abab8378436b1
|
2.4 MB | Preview Download |
md5:e80bea83e3c50e0c50e5ef2cd3e32791
|
2.4 MB | Preview Download |
md5:7ae7865b1dbbc023c45fdfb69b433c00
|
2.4 MB | Preview Download |
md5:597c8a806c76e86b6c59fda16ef9f118
|
2.4 MB | Preview Download |
md5:df48a8baea20571f1b50c34287a47d7e
|
2.4 MB | Preview Download |
md5:8c39fbc341553864287a6eb59817ed84
|
2.4 MB | Preview Download |
md5:e0789abf6379c5c23d36a7af92448e3b
|
2.4 MB | Preview Download |
md5:8be49e40647c889fc928409ef003d762
|
2.4 MB | Preview Download |
md5:351c9c88b3300ca7532306fa57ed065f
|
2.4 MB | Preview Download |
md5:b02ea037c3eddb9655510518f2299008
|
2.4 MB | Preview Download |
md5:dd93893a5abb8447fbeab96dc2c4f0de
|
2.4 MB | Preview Download |
md5:3e7d5aa12c8881ec4827da32910807ed
|
2.4 MB | Preview Download |
md5:165ac1ba647f83d14fe96f5bded893a3
|
2.5 MB | Preview Download |
md5:e3725ae72cdb73d83b6adb59b09f2742
|
2.4 MB | Preview Download |
md5:16f1d968e2ac18374a448de3d5ec71a2
|
2.4 MB | Preview Download |
md5:885888698f373698d6844ba52c32d2e3
|
2.4 MB | Preview Download |
md5:afd4b7b5353482263e431bc67a7b8b5e
|
2.4 MB | Preview Download |
md5:fd38b771dce4fa3ab64b2200e4911164
|
2.4 MB | Preview Download |
md5:4c14a514fc807d6cf0d86690b088c68c
|
2.4 MB | Preview Download |
md5:bbe1481ef2f7206b394d85da725e5562
|
2.5 MB | Preview Download |
md5:7998fa3e43cfd755e0569d5da2a57d1a
|
2.5 MB | Preview Download |
md5:66c5e6e128960e57bd695843279b1e47
|
2.5 MB | Preview Download |
md5:bd4dc3b35bf8fc7915922531ac59f9d5
|
2.4 MB | Preview Download |
md5:661d54a64e69437788ad7a832365c5fd
|
2.4 MB | Preview Download |
md5:ac6691bff696c5f6e3fe9664172bce20
|
2.4 MB | Preview Download |
md5:379290ea313005546269b18a07a289d7
|
2.4 MB | Preview Download |
md5:c4a10f2544b2421f236f2a6bd4699ed5
|
2.4 MB | Preview Download |
md5:53771f3c72a2bcc6b1c54cb9939c140f
|
2.4 MB | Preview Download |
md5:d5e47b6a7e96c67d9d66716524b25423
|
2.4 MB | Preview Download |
md5:13b8a7c8f152a6637de4c026b69f533c
|
2.5 MB | Preview Download |
md5:1ca4f044959d7c10d17e7aa3a72b2cc8
|
2.4 MB | Preview Download |
md5:14428de9839d3c952bb4099afec9a237
|
2.5 MB | Preview Download |
md5:4da21076ad8032300d20d188ac1c98c7
|
2.4 MB | Preview Download |
md5:4975c1043b67551a654546e8eb38be6a
|
2.4 MB | Preview Download |
md5:b6a91190d655fc859b0c35af0b0c3f76
|
2.4 MB | Preview Download |
md5:faf22f2a56a4b00a580f91cd2b1b8806
|
2.4 MB | Preview Download |
md5:34f8ef9439605dd53bee2a1afe3072c0
|
2.4 MB | Preview Download |
md5:e9f3f595b518b766fc6b7f1e86709bd8
|
2.4 MB | Preview Download |
md5:cbc98cc75d55963ced56a8efefb17c5f
|
2.4 MB | Preview Download |
md5:4246642becba921e749f6092b912e11e
|
2.4 MB | Preview Download |
md5:da3522005ae8d550c690cba17a93a0ef
|
2.4 MB | Preview Download |
md5:6712c5698757aa0d56d71cd5106aa6b2
|
2.4 MB | Preview Download |
md5:628171c24219c5ec750710612148a6f7
|
2.4 MB | Preview Download |
md5:c74c96a6220117540429999f52bed1d3
|
2.4 MB | Preview Download |
md5:c980a8afdc57426575441e7700204ec6
|
2.4 MB | Preview Download |
md5:a99bfb1a758abf68924e3ca5dc6c11e1
|
2.4 MB | Preview Download |
md5:6124fd9f0d4ea63e6959b8f1389ec364
|
2.4 MB | Preview Download |
md5:532b0f5cf7dd775f138bfad4c1a36c75
|
2.4 MB | Preview Download |
md5:571e69a93acc4cfd4445cb29c17e0265
|
2.4 MB | Preview Download |
md5:ef5cdd218690cd15d5e8eff4ea45f2df
|
2.4 MB | Preview Download |
md5:5e20cffdb92ed248524e76a6ed08b850
|
2.4 MB | Preview Download |
md5:00016f4c598d2a1280e3431c9814b0bd
|
2.4 MB | Preview Download |
md5:b67a071ab0554e9dd782d44b44b013be
|
2.4 MB | Preview Download |
md5:ad95acb474ce755d55943cdcb768653e
|
2.4 MB | Preview Download |
md5:3a30bbb1c3a160cdaaf368c41c26144a
|
2.4 MB | Preview Download |
md5:0e68d2afac664b5b5cae2298bc40cece
|
2.4 MB | Preview Download |
md5:f767c394c4e05bdf49e445ed397f8901
|
2.4 MB | Preview Download |
md5:d1b025793a314a9d663e52c74efba588
|
2.4 MB | Preview Download |
md5:53372656f0886c76a17bfb0d004cadf2
|
2.4 MB | Preview Download |
md5:fa5f937c256d80964f2d2d07829282cc
|
2.4 MB | Preview Download |
md5:c6c9275a15450669e93c0c11a626bddd
|
2.4 MB | Preview Download |
md5:3f3481b84779c2cb85f2f4a627aa5120
|
2.4 MB | Preview Download |
md5:0cb6ee23815638082dc0a0dcc5c66f74
|
2.4 MB | Preview Download |
md5:e95bc8dc5ac4dd92c965b538bf613339
|
2.4 MB | Preview Download |
md5:d3cf27e93c859a151ae2ba4e226228d5
|
2.4 MB | Preview Download |
md5:638ac88d0b86bf7d793aac4c65dd0948
|
2.4 MB | Preview Download |
md5:e8812b88c195efa6f942bccc335e4f6d
|
2.4 MB | Preview Download |
md5:21310f32e7e7152e706551fb20c4bc52
|
2.4 MB | Preview Download |
md5:417d997cea1dbe21ca2f73a2b3682426
|
2.4 MB | Preview Download |
md5:d7d107095996b8fb843dbed3236d0e30
|
2.4 MB | Preview Download |
md5:f0ddae3629dc820bb4c395573bdd3a8c
|
2.4 MB | Preview Download |
md5:43c21fe081057e9ca6cd45bcc012561e
|
2.4 MB | Preview Download |
md5:c599f292a87f93d0c43ef222f5464139
|
2.4 MB | Preview Download |
md5:8250068e1eb24f78a4a5dd7e842a51d4
|
2.4 MB | Preview Download |
md5:ec36f267a907aedf247d85625723d0b3
|
2.4 MB | Preview Download |
md5:a8015f5c8495815589d2a22538c517ec
|
2.4 MB | Preview Download |
md5:c27d580b54d8a507e4bfea4aceffe48a
|
2.5 MB | Preview Download |
md5:577b0ca3b01cc56a2cc08577de643476
|
2.5 MB | Preview Download |
md5:678ddce4b42eeb79f041b03237347ea2
|
2.5 MB | Preview Download |
md5:3497b2d61413849d81d0c9f0534c1ed2
|
2.5 MB | Preview Download |
md5:b6e1ba9c65fe26d1fea24736b129c271
|
2.4 MB | Preview Download |
md5:71486d81e1b9dcaa0204a85be020ec69
|
2.5 MB | Preview Download |
md5:0097c78b1848d805d6822d7278c782fb
|
2.4 MB | Preview Download |
md5:e311e869646ea7e51d617669bb0e29a8
|
2.5 MB | Preview Download |
md5:718080074b186eeaa443a1a0af2c63dd
|
2.4 MB | Preview Download |
md5:0c89f0490bfa2103f46d336ce601d2a3
|
2.5 MB | Preview Download |
md5:0e385048b24b6e7b13bc563d76696991
|
2.4 MB | Preview Download |
md5:d74f3ad66545b052f8b15827e8d3a9d0
|
2.5 MB | Preview Download |
md5:ca96eecc5baefb9262da126e727024de
|
2.4 MB | Preview Download |
md5:d0a018c45242972322418d395b494973
|
2.4 MB | Preview Download |
md5:44994321b795b56fba8ab950da9a9504
|
2.4 MB | Preview Download |
md5:7ea13f3e3bec25a587de2efef3899b18
|
2.4 MB | Preview Download |
md5:613f4fe198550d7c45841ae4b1ad155b
|
2.4 MB | Preview Download |
md5:d583f6e5dc19446ed4340c83fdee4f58
|
2.4 MB | Preview Download |
md5:ee466a837ee78540bfd4349e3f701bcd
|
2.4 MB | Preview Download |
md5:601b77e70b2e78ac958ddf3198e5f658
|
2.4 MB | Preview Download |
md5:e24242d8e47c0cfd08b3892f8bb5ed69
|
2.4 MB | Preview Download |
md5:6485a43e02a5fe215d19ec4cc0662891
|
2.4 MB | Preview Download |
md5:66adcb2e3b7fc22c8ff73efae447b5b7
|
2.4 MB | Preview Download |
md5:60e331e63c64ec96aae50dfac846fb3d
|
2.4 MB | Preview Download |
md5:9cd47b4f367962ea978092cb963181de
|
2.4 MB | Preview Download |
md5:fccd82f9b642ac24aba904fb19b287d7
|
2.4 MB | Preview Download |
md5:f8e3688de6aed64795864e485f955fa0
|
2.4 MB | Preview Download |
md5:7a131db14bc83094c90023b82b9252ef
|
2.4 MB | Preview Download |
md5:41d478e4af75c224886252a71c291545
|
2.4 MB | Preview Download |
md5:3b310b61f0f4f4b4529dc4f0786f4288
|
2.4 MB | Preview Download |
md5:7c55341b6a901e740d4008bf9f8274bf
|
2.4 MB | Preview Download |
md5:02f9dee8e9a691bcbf2e803eb88c5c24
|
2.4 MB | Preview Download |
md5:2c5166a811ca769b9c904c766703fdc9
|
2.4 MB | Preview Download |
md5:dffba78cfa3b6829129f81bc6742da6a
|
2.4 MB | Preview Download |
md5:06649d05ad8c8cd69f763923f99d3a96
|
2.4 MB | Preview Download |
md5:b26721807fcb6edadf1d25e0da4905bd
|
2.4 MB | Preview Download |
md5:09b5f3a758c4a0c181ce2628151c1003
|
2.4 MB | Preview Download |
md5:6021b8f49b5a3137dc6f0c5d9eb074f4
|
2.4 MB | Preview Download |
md5:d16328d64a7eaeee032f30746e583098
|
2.4 MB | Preview Download |
md5:a4f0ecbfba39b15954935fdbd63da8cc
|
2.4 MB | Preview Download |
md5:e8efe76fef7b80310e2b1774e64036bb
|
2.4 MB | Preview Download |
md5:139abee2aa39d79052f4828fb8135338
|
2.4 MB | Preview Download |
md5:5ddddfd79364626367cbce45d7bfc07c
|
2.4 MB | Preview Download |
md5:a73fe7298f993890df35570c13385209
|
2.4 MB | Preview Download |
md5:97903fa191d30c3cb5b1debfb6e3c5c4
|
2.4 MB | Preview Download |
md5:eb154df754b82b1410790fbfeb70b7bc
|
2.4 MB | Preview Download |
md5:99484dfeb3efefba64ff6964655a11ba
|
2.4 MB | Preview Download |
md5:0663be988f04c5825ea7a54d75664b44
|
2.4 MB | Preview Download |
md5:3dd2ad6a5829a3fcffc9a0b3dc45983b
|
2.4 MB | Preview Download |
md5:701da8532fe8384f71f116dd796c7ed4
|
2.4 MB | Preview Download |
md5:80dba4a97c27b2b39fe3150a7a8e3cb7
|
2.4 MB | Preview Download |
md5:fb3b89615141e1fa94ed991cf60fe4f2
|
2.4 MB | Preview Download |
md5:254b48204189fe1b9b60802bacec2898
|
2.4 MB | Preview Download |
md5:83e01c0f74d053287256cd631cd38b58
|
2.4 MB | Preview Download |
md5:026bb80a783bf0ac279586eda1771a00
|
2.4 MB | Preview Download |
md5:ff3b2d11c8a27336a32a1db1120fceb8
|
2.4 MB | Preview Download |
md5:f67a12f0275e7a879c8c3a88c8533ca5
|
2.4 MB | Preview Download |
md5:33f940bcff7b61d13666aa073cf77245
|
2.4 MB | Preview Download |
md5:831c88a52442120d2283d77f54cd685e
|
2.4 MB | Preview Download |
md5:b86510b0181c91946cc470580887ca3a
|
2.4 MB | Preview Download |
md5:b99e75ea071b9f33c904a9e35ef71130
|
2.4 MB | Preview Download |
md5:897150d77c5c563daf1480c69bac4d00
|
2.4 MB | Preview Download |
md5:2acf279758a315d7699a9fd739755986
|
2.4 MB | Preview Download |
md5:04749cac82fda79a2a2e3f0b7a0e5053
|
2.4 MB | Preview Download |
md5:fcdcbbb4782b6a87a9f63e540a209dc4
|
2.4 MB | Preview Download |
md5:0175ca1517c84b618b8516539980b26a
|
2.4 MB | Preview Download |
md5:2a4709a9a2152e4f683ede072e7daca2
|
2.4 MB | Preview Download |
md5:12d4206ddd6f620d49beb7a56def75fd
|
2.4 MB | Preview Download |
md5:864b27705495d34cc4e5dba5b5cf7c08
|
2.4 MB | Preview Download |
md5:bb82a6b700158f281fbe406188167e86
|
2.4 MB | Preview Download |
md5:7e3cd7b28663cb41a8e5f52acbda7270
|
2.4 MB | Preview Download |
md5:b94ef3aba8b75c4fbcebc0c1d1eab94d
|
2.4 MB | Preview Download |
md5:2e5137edc971f2c4478e2039eac93524
|
2.4 MB | Preview Download |
md5:42adab26ae33d55120381d669c646501
|
2.4 MB | Preview Download |
md5:b0c66172c26039a04947aeeb9b876319
|
2.4 MB | Preview Download |
md5:71c91e350cede4458ec0531e478aa35f
|
2.4 MB | Preview Download |
md5:0b11f5a26b1b7e1242af768b5ba0be4d
|
2.4 MB | Preview Download |
md5:98112b856b5f0a65980d2558ef1f7ac4
|
2.4 MB | Preview Download |
md5:a7c42e61ea521ddfa2fb282696521fda
|
2.4 MB | Preview Download |
md5:83ab320585da272dc037d6d2ed54dff4
|
2.4 MB | Preview Download |
md5:ab8444c03ef0e296406b249943249cab
|
2.5 MB | Preview Download |
md5:a026a377f05a17f6029658f28891d45d
|
2.4 MB | Preview Download |
md5:e6f16825052e6bc9cdffca26369b2d7d
|
2.4 MB | Preview Download |
md5:2a633720bd22a4690c0180469c69d502
|
2.4 MB | Preview Download |
md5:c5c54cc160c71a02650647d22e64a0f0
|
2.5 MB | Preview Download |
md5:db354f8c0fb752f7e7e8234896d26295
|
2.5 MB | Preview Download |
md5:9b2fd1bffdb0954801cfe6ca4e24131f
|
2.4 MB | Preview Download |
md5:0845431f17a452b500d4cdc07b9d7471
|
2.4 MB | Preview Download |
md5:1bc78f568a6d634e8ee04ba75026c20d
|
2.4 MB | Preview Download |
md5:212746c2ded24b2ac1cfd29e8f1de9f9
|
2.4 MB | Preview Download |
md5:62eed013592a56465338995f45c91396
|
2.4 MB | Preview Download |
md5:4d13de75b7a238831ed667b6a8f835f6
|
2.4 MB | Preview Download |
md5:5883ddf037016f9dd114496397b898a7
|
2.4 MB | Preview Download |
md5:2855c6878ee5b6d68258faa125b77940
|
2.4 MB | Preview Download |
md5:ce4f71a784262bf33ad7432ae9989d1e
|
2.4 MB | Preview Download |
md5:ec4b7fc21aba1dfe0b01ef8393af441e
|
2.4 MB | Preview Download |
md5:8f337bed4fd2fb0362358994dfc27be1
|
2.4 MB | Preview Download |
md5:6f6900cb1e047994ff4184e87963dc66
|
2.4 MB | Preview Download |
md5:8a4d1d9d5e93a321a69f33773a8e4b15
|
2.4 MB | Preview Download |
md5:ac702360babbf8be78ee7831b768980a
|
2.4 MB | Preview Download |
md5:d2abe0ef4d4d46277df07bac83da3c50
|
2.4 MB | Preview Download |
md5:ff13264d975a4c8f72d15a6d9ce77b22
|
2.4 MB | Preview Download |
md5:2398ac8ca725d692ca124abf81234899
|
2.4 MB | Preview Download |
md5:4592f8365d3253c4ffe0b8b6d8f0a83c
|
2.4 MB | Preview Download |
md5:b2861d3dccc3da187298b0a94572f6f8
|
2.5 MB | Preview Download |
md5:b82506bf2020d44adc523c1382888bc0
|
2.4 MB | Preview Download |
md5:ba85904c755be21ceb6b5d77cfc5df44
|
2.5 MB | Preview Download |
md5:d5a336564fa9f718662cdb2d36a573cf
|
2.4 MB | Preview Download |
md5:d23ffba22d2fc3feaff61419d02bb62f
|
2.4 MB | Preview Download |
md5:2e95de140c979d4b2386f71f2e6371be
|
2.4 MB | Preview Download |
md5:eeeea8b9b62fb042b88a8bbfaaa41311
|
2.4 MB | Preview Download |
md5:7d807ed645182f5b1b92b9a8ed833455
|
2.4 MB | Preview Download |
md5:37fcdcfe545992faa816599d83f174ee
|
2.4 MB | Preview Download |
md5:da29ccdabe0b72cff1359f74dd43fef1
|
2.4 MB | Preview Download |
md5:25fb8a1d0f8273f9ecfac8be5d8ca3d6
|
2.5 MB | Preview Download |
md5:4e8873ede4958a9718d1d71c2fb9dc1c
|
2.4 MB | Preview Download |
md5:df08f914ac7327ee6d5182419673e921
|
2.4 MB | Preview Download |
md5:98889e60e3c06afd9d50d386a00114d8
|
2.4 MB | Preview Download |
md5:3d6e809f2a87c33b55342bc91602ad05
|
2.4 MB | Preview Download |
md5:c7b5e10cc16d5633ac23656d1395015f
|
2.4 MB | Preview Download |
md5:653283472c96946a7d7d18d0c6aefcb0
|
2.4 MB | Preview Download |
md5:c1776f19573fce812efdf0d97d639e7b
|
2.4 MB | Preview Download |
md5:adbea66cb63b5d6b02df2e507abddb1d
|
2.4 MB | Preview Download |
md5:38027c62f12ffc18155887e9f4aad24a
|
2.4 MB | Preview Download |
md5:0229aeba98b5effcfcabb4427d11d58a
|
2.4 MB | Preview Download |
md5:98f096fb33a1be7763299dfcb9873fcc
|
2.4 MB | Preview Download |
md5:043ece49f38723219d62e537edbf5bb4
|
2.4 MB | Preview Download |
md5:710cd5b249f515ac2fafab203b6eea63
|
2.4 MB | Preview Download |
md5:522a6da6eef4c6fd420c0e2b85efada3
|
2.4 MB | Preview Download |
md5:0216b7cad814f27a8fa82d01a0ee9c58
|
2.4 MB | Preview Download |
md5:61c7542ab251139f1205b191538dff40
|
2.4 MB | Preview Download |
md5:1930ce56acae215962073ca1f15dae08
|
2.4 MB | Preview Download |
md5:6ca221ceddc874ac2c211d095438201d
|
2.4 MB | Preview Download |
md5:876260f68a12966e501d05d61471313f
|
2.4 MB | Preview Download |
md5:bc01c72f68bfd02fb852d5ae39a171a0
|
2.4 MB | Preview Download |
md5:d539d716cb0d97c6a469c7094f8b6ff8
|
2.4 MB | Preview Download |
md5:7518da2fbf0f3205e73d7657cefecf1e
|
2.4 MB | Preview Download |
md5:a72d710c047ee86bc21532c4eba5f5b0
|
2.4 MB | Preview Download |
md5:733bc20fccb6ccd56a575f1c36d77062
|
2.4 MB | Preview Download |
md5:db760a535ea5cd5b750058690d8a279e
|
2.4 MB | Preview Download |
md5:b4b22cc5844a07836c2c999aa8fcba74
|
2.4 MB | Preview Download |
md5:189625170ed4e71ce1978039ceae5a64
|
2.4 MB | Preview Download |
md5:4c76354860a9846b23ef8e4dfd87ab5c
|
2.4 MB | Preview Download |
md5:4dc1352e6856695b1cce1c62dbda4bfb
|
2.4 MB | Preview Download |
md5:c40a265f2276a9c91266c90d0447718c
|
2.4 MB | Preview Download |
md5:b9da7f1babdbd944f5f686f25c421b38
|
2.4 MB | Preview Download |
md5:ea80ef5263e44f81b2fd4e41f3f6e47b
|
2.4 MB | Preview Download |
md5:604e7237434baf440014885609083d00
|
2.4 MB | Preview Download |
md5:f4095d42bd5885a7a5f92eeb0178d682
|
2.4 MB | Preview Download |
md5:ffff11fc390a9cb86992803601d241ad
|
2.5 MB | Preview Download |
md5:ddd580decfec7499f5cf3244d80f5ec2
|
2.4 MB | Preview Download |
md5:452675b61c7123a1908847b37cbe40cc
|
2.4 MB | Preview Download |
md5:c6f428c3dc9838548f264cfff49fede8
|
2.5 MB | Preview Download |
md5:43f9f0702a8397abfa2c3ed3a173ca9e
|
2.4 MB | Preview Download |
md5:48e88a673804c89f3e4be8f2ed410203
|
2.4 MB | Preview Download |
md5:2fa6c432310de445aed1ed541ea0e959
|
2.4 MB | Preview Download |
md5:af4279ab675147603acf51a2cff5053e
|
2.4 MB | Preview Download |
md5:0c86a560af843524c06ebbc7881ca7d6
|
2.4 MB | Preview Download |
md5:2590c887cbacd7395cd5f00305bd8dd7
|
2.4 MB | Preview Download |
md5:ae6d463eb2968bea6e247a413efedefc
|
2.4 MB | Preview Download |
md5:5cd545e50a076f99b7881beb78f96161
|
2.4 MB | Preview Download |
md5:cfc2f6e03e462a3ba03e5eaa28e20eaf
|
2.4 MB | Preview Download |
md5:a13c0411746679f8b2b751d36a3324bc
|
2.4 MB | Preview Download |
md5:96a2e1ef4cc7ab3c9a3e8c4ff98b284e
|
2.4 MB | Preview Download |
md5:bd2e083e31a504193a484ef313cbf059
|
2.4 MB | Preview Download |
md5:7aa1c4bf7225f94136a015d213ea0901
|
2.4 MB | Preview Download |
md5:6019446205cf03a8469d8317b4459266
|
2.4 MB | Preview Download |
md5:2a8e0c86b7c8c02aab719aaa107584c3
|
2.4 MB | Preview Download |
md5:f8e01f194b7bc422bdbca585f1553fd1
|
2.4 MB | Preview Download |
md5:79c2c95d05cd9047310b94ad62b4a80e
|
2.3 MB | Preview Download |
md5:a032740901e22d9a24a1e7b6c133fccc
|
2.4 MB | Preview Download |
md5:e21fc115f7135ec2e4c5a6316a92959b
|
2.4 MB | Preview Download |
md5:0c2ba3785e5e58c7fde482276faac8a3
|
2.4 MB | Preview Download |
md5:c3d4832f0e10613eb44160280f40f3e8
|
2.5 MB | Preview Download |
md5:cf7a455e47c395d6c2de3617e528d7e4
|
2.5 MB | Preview Download |
md5:fffedd4eb3c02a40bc25df53af8cfd7f
|
2.4 MB | Preview Download |
md5:3a486a61a33b4a1cb12fbce8f44a6afa
|
2.4 MB | Preview Download |
md5:d1e8ccbc5eab7aa8fd8ad1d1f43cff7b
|
2.4 MB | Preview Download |
md5:9db562f185e4749d8e5cdd390e7387db
|
2.4 MB | Preview Download |
md5:44e734740a129fe6ae1e609c40c06730
|
2.4 MB | Preview Download |
md5:8a87efa4716791cb23ab324f0635d899
|
2.4 MB | Preview Download |
md5:df73ef82398d0a35ab0e4c7cbf812c22
|
2.4 MB | Preview Download |
md5:a66dd24051de36c34792454f25cf9d53
|
2.4 MB | Preview Download |
md5:f89c645c6114caa16485612242ed8c58
|
2.4 MB | Preview Download |
md5:bc3bd337b7ec6e7a09c05b6f12568729
|
2.4 MB | Preview Download |
md5:79dfa04b8a07e83bd6d4461b63ea17a9
|
2.4 MB | Preview Download |
md5:9bf8bdec69bdee679cda9d618f8a2100
|
2.4 MB | Preview Download |
md5:9e5c20d139b03ad4a02d93031d09a239
|
2.4 MB | Preview Download |
md5:80b676b7ff49f69281c7df7d9316f8b3
|
2.4 MB | Preview Download |
md5:50cbfeed85e7688ecd1f8495a1af5792
|
2.4 MB | Preview Download |
md5:0efdf39bf5722d01115bad2a699b5fee
|
2.5 MB | Preview Download |
md5:c69ce815a729b1c67369807a11fae60a
|
2.5 MB | Preview Download |
md5:a640efd17eb1a4cc8ef096137d0bc536
|
2.5 MB | Preview Download |
md5:76b4f8f95ef4b91c3b49f27ea1a52e5d
|
2.4 MB | Preview Download |
md5:9e63084d1837f19221fdb08c9f4630c3
|
2.5 MB | Preview Download |
md5:1de67ddfb8741487b4e5d00eaab17b90
|
2.4 MB | Preview Download |
md5:9c2da23961ee70e3e8bac704dbe32c93
|
2.4 MB | Preview Download |
md5:03b552c352e4f5e89df40ca8fc63e5c4
|
2.4 MB | Preview Download |
md5:c33a686551f3e0ce60bdff748bf56730
|
2.5 MB | Preview Download |
md5:5703861ba3a3eea668a840e670dc997b
|
2.4 MB | Preview Download |
md5:639df345342d95925441927bdd63be7d
|
2.4 MB | Preview Download |
md5:fc827f65faaea8bdaeef5413fe317242
|
2.5 MB | Preview Download |
md5:b2f86100744e55c0e2c9400223be67c1
|
2.5 MB | Preview Download |
md5:fbf76def53d0881d9406eace02c069e2
|
2.5 MB | Preview Download |
md5:7968a63f3d90895c6e4108802938e8a2
|
2.4 MB | Preview Download |
md5:484e3e462d1640c218e18077f94b2d21
|
2.4 MB | Preview Download |
md5:87f980ae2d39dba1d981a4313d11a073
|
2.4 MB | Preview Download |
md5:201a07d85a63e227cf97772cdd7f7e98
|
2.4 MB | Preview Download |
md5:578765a3ed0e7228200cbb63ac7b653c
|
2.4 MB | Preview Download |
md5:e80e30425ba9eedc931fa061c60c23d7
|
2.4 MB | Preview Download |
md5:50dead16ecb5261300cdf9da86dfd03d
|
2.5 MB | Preview Download |
md5:b4ac72b21bfd8e5235cce88e8aea584e
|
2.5 MB | Preview Download |
md5:dd9ad4f3b38b0089d004c9900740a6a7
|
2.5 MB | Preview Download |
md5:5be5c6091b8b6dd102fbc7b525200dcc
|
2.4 MB | Preview Download |
md5:a4d010cc264556b8a98109ffc7e4274f
|
2.4 MB | Preview Download |
md5:016357342ebecf77b3477d042e4429c8
|
2.4 MB | Preview Download |
md5:7a88877ba7f48d1cc9ae78650e16a448
|
2.4 MB | Preview Download |
md5:2cb7184a436da16197def49b2db04192
|
2.4 MB | Preview Download |
md5:73e5204af78e59f6ad556db775128767
|
2.4 MB | Preview Download |
md5:6041f322a1b1bec78692e22b1d802dd0
|
2.4 MB | Preview Download |
md5:2cbf710850cb6e47898fcece241f32f3
|
2.4 MB | Preview Download |
md5:f91ad69d8ddb110595d3a5084564b8d9
|
2.4 MB | Preview Download |
md5:1aa21633fec881f13a3eaa4ba0cd84c7
|
2.4 MB | Preview Download |
md5:bb41e1d606fe0108fff6eebd833253aa
|
2.4 MB | Preview Download |
md5:200f2777399fae35224ee30077379964
|
2.4 MB | Preview Download |
md5:468ecbf4e5ac41cf3e0b2b2c3ec94c91
|
2.4 MB | Preview Download |
md5:2477816f783de95594bc14f63b344586
|
2.4 MB | Preview Download |
md5:59aa66ec90393becd875297a7d2e25d4
|
2.4 MB | Preview Download |
md5:3e45e344c02188fcd2eb3905a2345bb7
|
2.4 MB | Preview Download |
md5:89bc1e838a9fd0e6b2986804bde955ae
|
2.4 MB | Preview Download |
md5:b0ce22a13664acc205ce5f4a52447706
|
2.4 MB | Preview Download |
md5:f706c23e13be28d3088fd4d8cb751603
|
2.4 MB | Preview Download |
md5:c07ae89b71e8d96963be2b5d3b0f13eb
|
2.4 MB | Preview Download |
md5:105fc5d32cbebd4bf6bd02ecaef3f032
|
2.4 MB | Preview Download |
md5:2e37d8d23654ff59a0b5d37226979b5d
|
2.4 MB | Preview Download |
md5:0e77d4e1e182d1a91fb615eff6cd22d8
|
2.5 MB | Preview Download |
md5:53f259732a6913604d429709bc3900e6
|
2.4 MB | Preview Download |
md5:70fd537fc03b82995c7ea510b147f1af
|
2.4 MB | Preview Download |
md5:802acd5b419793381a6656d7708e8a3d
|
2.4 MB | Preview Download |
md5:5f1a1de46212b2f05ec4f6afbfb733c9
|
2.4 MB | Preview Download |
md5:b2467f2fab6c1622d8caa9b8ebb86ab0
|
2.5 MB | Preview Download |
md5:2cb6f29d9e93dded8c2088da5952966a
|
2.5 MB | Preview Download |
md5:4728ff44c00621c32020f981832385fb
|
2.4 MB | Preview Download |
md5:61a702c512d1220245d531fb0587229f
|
2.5 MB | Preview Download |
md5:ab9b4fe17d1582a4796d9c8435db0265
|
2.4 MB | Preview Download |
md5:1a7c38aed5664d5d02e17bb36de571f9
|
2.5 MB | Preview Download |
md5:1ff30463194365fdb53cdf713cdab58e
|
2.5 MB | Preview Download |
md5:bcfd8fd73059e8b4416a1566d4a6698c
|
2.5 MB | Preview Download |
md5:026165a7c5f1322f0a221b83255eeef5
|
2.5 MB | Preview Download |
md5:aeef773248d0fc133dc1a92b7c386c12
|
2.5 MB | Preview Download |
md5:acbe04c87c986c6c073e69935bdc1b90
|
2.4 MB | Preview Download |
md5:ee385665f1285371a4ed662818ade4ed
|
2.4 MB | Preview Download |
md5:2716da1d51bb0f58a35f436c92af3389
|
2.4 MB | Preview Download |
md5:2db1cc4a38a8bc36a622c0e16db8858d
|
2.4 MB | Preview Download |
md5:391f84645351d0fe94e8aedd9457d89d
|
2.4 MB | Preview Download |
md5:895b8b9e2ddf329bb51b021dcf2965eb
|
2.4 MB | Preview Download |
md5:02d73ea3487d06dfe8fe0994e5860229
|
2.4 MB | Preview Download |
md5:ec259743a464afef555afc3a4555a444
|
2.4 MB | Preview Download |
md5:8d6e9ac52291eb7c7b88c21b3eca6aa4
|
2.4 MB | Preview Download |
md5:0838777093b2dbcdb4c9c5aa6befd2eb
|
2.4 MB | Preview Download |
md5:4573e72d0d962b98525a003ebb79c2bc
|
2.4 MB | Preview Download |
md5:f932b8868134df7f6072b2d05b183030
|
2.4 MB | Preview Download |
md5:1150430eacc2e3d40fad0889fd66567d
|
2.5 MB | Preview Download |
md5:e9cdcaea445ee7769cad04fd2e9a4288
|
2.5 MB | Preview Download |
md5:f8859eed62cf9cae06c1b827d1577d38
|
2.5 MB | Preview Download |
md5:75166935e40be1c5963f82ff23abebf4
|
2.5 MB | Preview Download |
md5:27f1cc62d8d61302c12c2f7b5e24332b
|
2.4 MB | Preview Download |
md5:d2701389b1a0afb27d995f5d2cc9645b
|
2.4 MB | Preview Download |
md5:9faf60640594e3eaaf7a9bf818a3e361
|
2.4 MB | Preview Download |
md5:40f700c97fadeddc651bb491dc468e9c
|
2.4 MB | Preview Download |
md5:1f91cbd348010f8cc368387e1a3085a0
|
2.4 MB | Preview Download |
md5:1838de9b193e8cdbf33dbaa219fed84d
|
2.4 MB | Preview Download |
md5:f9ddd8d00e162ed758dedf7b2aaa6dbd
|
2.4 MB | Preview Download |
md5:02dff02de7519cff6af3ca1b7a9f9db1
|
2.4 MB | Preview Download |
md5:024f07084ba27a0eada694a813fa97a6
|
2.4 MB | Preview Download |
md5:33a4c737146c1a4f38f571fee1d06e35
|
2.4 MB | Preview Download |
md5:2e12fb5f0fe4d0cf02d88de4284c95c1
|
2.4 MB | Preview Download |
md5:77493dbca6159d0d83fc00831361d62d
|
2.4 MB | Preview Download |
md5:6d228baff064b4b44005a42edab23981
|
2.4 MB | Preview Download |
md5:e36eff7708e26593b04fe2bbcfdab20c
|
2.4 MB | Preview Download |
md5:8ca5e98e0c5eda58a8295b02c2d02838
|
2.4 MB | Preview Download |
md5:2cfcb7eb1dfe761c8cc88c5052d9764c
|
2.4 MB | Preview Download |
md5:bf7d60f7f9e6c06114354d299b3a6ade
|
2.4 MB | Preview Download |
md5:92df14e1899fa76c1d4dbc468e778316
|
2.4 MB | Preview Download |
md5:769f416a8b31c697e86efe42169e35b3
|
2.4 MB | Preview Download |
md5:ee9f5d5ebf43dcd85c93277561c24414
|
2.4 MB | Preview Download |
md5:3d2c855e12776eb11b20cba07d93d180
|
2.4 MB | Preview Download |
md5:f71ed76c4daf476d0aff738bb0153245
|
2.4 MB | Preview Download |
md5:4df2723fc4640c18e1d4f6373e34cd2e
|
2.4 MB | Preview Download |
md5:4cd21b699e6d69d6b3b1b9eb3350c216
|
2.4 MB | Preview Download |
md5:16c81b07b2f1f5fec8d284193726af3f
|
2.4 MB | Preview Download |
md5:1d38867492503801b0be197bc5353c77
|
2.4 MB | Preview Download |
md5:90a8f7c384d763727b1843cc89167f8c
|
2.4 MB | Preview Download |
md5:b7e6737a358c72408178a1c609cdde29
|
2.4 MB | Preview Download |
md5:4ba83cc093eaa8870a2906563cab695d
|
2.4 MB | Preview Download |
md5:12cb8df0d0f2a3db88aabf0cace305ea
|
2.4 MB | Preview Download |
md5:5dd2a14b72e8587d0a3911ca94bb3134
|
2.4 MB | Preview Download |
md5:9f2f6edbea331aa60ceee5e2a5a60c4e
|
2.4 MB | Preview Download |
md5:9596d37fe24128b3bb51684e7bc4b0e6
|
2.4 MB | Preview Download |
md5:f84c99f731564366c9bfd9a5ea4fef20
|
2.4 MB | Preview Download |
md5:eb4a63a1f78f7cf3881f3f9e13230bea
|
2.4 MB | Preview Download |
md5:6b9da7c433b2d3e108cafbd9dc02cd78
|
2.4 MB | Preview Download |
md5:6618c45f03bc67142e53604969f1c0ce
|
2.4 MB | Preview Download |
md5:a77c10386a9288c9780dd4434932da13
|
2.4 MB | Preview Download |
md5:f176ab418b458214ff3fe4c2450af39a
|
2.4 MB | Preview Download |
md5:dc087804b0d76ddffc27cf71a8beeaac
|
2.4 MB | Preview Download |
md5:ea7fe77d7bd499397589f5c378c7fdf0
|
2.4 MB | Preview Download |
md5:31c1aafb22b3919a22878f2b2ecac98b
|
2.4 MB | Preview Download |
md5:86a26055e3f80d97c1363f93d8dfd19f
|
2.4 MB | Preview Download |
md5:605f6f2103aebf359890a259b1d7676a
|
2.4 MB | Preview Download |
md5:b0cf6d51712791bc180218439302a563
|
2.4 MB | Preview Download |
md5:9ee376f26ab5f8dc83ac3ca859992504
|
2.4 MB | Preview Download |
md5:b9975ea2eb58c0aeba7dafc96e9e62f0
|
2.4 MB | Preview Download |
md5:bac9e81386c8ced42044006517eaa36c
|
2.4 MB | Preview Download |
md5:3f1c878443a4895cc46802afd77bd848
|
2.4 MB | Preview Download |
md5:3853199658204f6e7d16568c5248415f
|
2.4 MB | Preview Download |
md5:ae793e2a184e021d7a91c134676d5e16
|
2.4 MB | Preview Download |
md5:4941b6384ae292170be1ea4b4c60f259
|
2.4 MB | Preview Download |
md5:e87cac053d7750b1ba841c4b92e04ae2
|
2.4 MB | Preview Download |
md5:bebabb30dc15742fbb8d713d48085f9b
|
2.4 MB | Preview Download |
md5:9698a9732d35868db2a247c7a7e0b934
|
2.4 MB | Preview Download |
md5:dac4c5f15ad6e9d7c73cdf4b2a6a5bd9
|
2.4 MB | Preview Download |
md5:e9bff363a9144ce8bf987e9b107ff645
|
2.4 MB | Preview Download |
md5:f404710d00d572f6c19d4e2a497c8055
|
2.4 MB | Preview Download |
md5:9aa93b59366cd158bbd55785bdfadc66
|
2.4 MB | Preview Download |
md5:c7124c406a01e6b1c965c1c1da4c9fa5
|
2.4 MB | Preview Download |
md5:09878df3ba76581a53ff6ba4e1b17c40
|
2.4 MB | Preview Download |
md5:e18983b83f57e286843ec6b76f333b58
|
2.4 MB | Preview Download |
md5:eace537b1ad680423a10d6ff85e7102f
|
2.4 MB | Preview Download |
md5:673fe23dda87427c58c6eeb7dc517b2d
|
2.5 MB | Preview Download |
md5:c22bc9ee1814d10b387e737dff5ae975
|
2.4 MB | Preview Download |
md5:0b6228e979dfaca539a860c4e1195579
|
2.4 MB | Preview Download |
md5:8c45909e4881bb2eb93ad98087cb1f13
|
2.4 MB | Preview Download |
md5:ed69715930051289163bc370b04b439a
|
2.4 MB | Preview Download |
md5:d1ba52f3ef2ed69159a6900f73cf122e
|
2.4 MB | Preview Download |
md5:d73cc8f6854ddfe4254d38237a6ab79f
|
2.4 MB | Preview Download |
md5:9468e27f49087e992a37305be1330814
|
2.4 MB | Preview Download |
md5:1b6a6695667e303fd795f75637a30bfd
|
2.4 MB | Preview Download |
md5:b63db487a8fe390dcbce62b3f16600be
|
2.4 MB | Preview Download |
md5:e07b7599e6d9f9437056174b772ab8e9
|
2.4 MB | Preview Download |
md5:7f4dce3ddc95702e17b7901eccca5102
|
2.4 MB | Preview Download |
md5:1b857b85a248bab1c71c20b4eae0ea01
|
2.4 MB | Preview Download |
md5:49844a23fcba184c7e23e056cc46c4a2
|
2.4 MB | Preview Download |
md5:2370b2e20f6bd5f4d68372868c89aed5
|
2.4 MB | Preview Download |
md5:262bd0320855496c9a695fc49fa977a1
|
2.4 MB | Preview Download |
md5:bced342bdf8098cc50bf64d4a6f8e0ea
|
2.4 MB | Preview Download |
md5:10fdb8ccb310e4585b4bf4c1e9a17a09
|
2.4 MB | Preview Download |
md5:2c033184b3b886b0077a8e93915ad72b
|
2.4 MB | Preview Download |
md5:8163a480a8a1915beb931fef5542cb4d
|
2.4 MB | Preview Download |
md5:1befd2868e15ff0c83824113ac340114
|
2.4 MB | Preview Download |
md5:ad856038b7d3e6a78427dd2b6270266c
|
2.4 MB | Preview Download |
md5:a0e871baa1520265f6c7fcffe99effda
|
2.4 MB | Preview Download |
md5:2d8f1fa998534db034c0a5fd138fbf6d
|
2.4 MB | Preview Download |
md5:6f8ae15c7870cfbe6e64794d1fa22ecc
|
2.4 MB | Preview Download |
md5:0154d7d98a31b9d07b788cf756369413
|
2.4 MB | Preview Download |
md5:4da8119e9f92c16fa2ec04e2c1fd8bf6
|
2.4 MB | Preview Download |
md5:71fecab2e6032764871c9d6079752f96
|
2.4 MB | Preview Download |
md5:b2e745fd7d51b52c5a44a23747fb50fc
|
2.4 MB | Preview Download |
md5:0d559bba74c76a7c16ddedce39a45b0e
|
2.4 MB | Preview Download |
md5:369dd2694229e889c3426c1384ec222b
|
2.4 MB | Preview Download |
md5:c922a1f624a22adf7d384f4cb458cf35
|
2.4 MB | Preview Download |
md5:5fd75613afd7383cb5622884fbafd9a7
|
2.4 MB | Preview Download |
md5:8198a052074d9cda352726b9f142fea8
|
2.4 MB | Preview Download |
md5:c0cb81eb60ce3fc347afdf4172df80ac
|
2.4 MB | Preview Download |
md5:228a82a2056582f596be92bcd1a8ea2b
|
2.4 MB | Preview Download |
md5:6730fc2c294fd30a8d54bb6312e30233
|
2.4 MB | Preview Download |
md5:15b63376eeb36f9a7b946736d315b441
|
2.4 MB | Preview Download |
md5:feee2f3d29e60ccf10eee706386f83d8
|
2.4 MB | Preview Download |
md5:db3ec3d973002e75559548a1e2819da2
|
2.4 MB | Preview Download |
md5:06c8ff9b0ed8d0901f8f2f5e423d662e
|
2.4 MB | Preview Download |
md5:95ffc5924288659a9f2d8a69fe9c8869
|
2.4 MB | Preview Download |
md5:796ea23d40b760099647ae03e8ec8170
|
2.4 MB | Preview Download |
md5:31651a5e3763dfa5e7f5bf40ccde7373
|
2.4 MB | Preview Download |
md5:a9c539d7500492aae5ccbe48f815c27d
|
2.4 MB | Preview Download |
md5:7ccb98b0bbab91ef7e296788c975b424
|
2.4 MB | Preview Download |
md5:c47665c6555b195185e23e65717fb22a
|
2.4 MB | Preview Download |
md5:ea7ad924f41a31eef2d3dd29da9e699e
|
2.4 MB | Preview Download |
md5:98a15b1f620893b0a8d81cb5364aff07
|
2.4 MB | Preview Download |
md5:25c1611ef2d5bd6dcf247c7b5598fb43
|
2.4 MB | Preview Download |
md5:a78f77fdcde44e0ea42fb85afbc90011
|
2.4 MB | Preview Download |
md5:2d50c0b963286a39b40edec2d8a29a9e
|
2.4 MB | Preview Download |
md5:35092a7ac02eaa69ac71c75e4a70ede8
|
2.4 MB | Preview Download |
md5:99a3d686d688ecbecd08194d0de88ac6
|
2.4 MB | Preview Download |
md5:bbe863696d20de762905baa7272d2d33
|
2.4 MB | Preview Download |
md5:6376f146a27e6d5c4b61573a07ff96fd
|
2.4 MB | Preview Download |
md5:d1bbd238e4a44a32b7e19cd33cf56e2b
|
2.4 MB | Preview Download |
md5:53452ed31d166047a85d40035ea8880e
|
2.4 MB | Preview Download |
md5:cc320ac39c8534d76b2e6aeb4323f7d2
|
2.4 MB | Preview Download |
md5:f3cebd23e17fdcd385618e92ecf69092
|
2.4 MB | Preview Download |
md5:9df43f9f15c00178d0d76d100cc37442
|
2.4 MB | Preview Download |
md5:ffeaac8ed60b2e5e8aa77d2c1aea461a
|
2.4 MB | Preview Download |
md5:8e03c024c64de79aa5873079e31ef447
|
2.4 MB | Preview Download |
md5:651e2b9f1ee3f593771b542e83cf3e7e
|
2.4 MB | Preview Download |
md5:ca08494ed82a6ed2fb3cd7afd44135dd
|
2.4 MB | Preview Download |
md5:1b19d5313128c5b007eceb6e91e4e080
|
2.4 MB | Preview Download |
md5:86f5e19e7ed4f3881b224d9fc29ad480
|
2.4 MB | Preview Download |
md5:7509fed9814cf715f3130221cf6bafe6
|
2.4 MB | Preview Download |
md5:f5efb619ce6ebd5a6deb4228ef0ddeb7
|
2.4 MB | Preview Download |
md5:3ff519d554a31f65a4c2ae7a822480fa
|
2.4 MB | Preview Download |
md5:a3550f5f4a52dea2b91e74965c0a4c53
|
2.4 MB | Preview Download |
md5:bdd9c510ef00774265aef320081c25d5
|
2.4 MB | Preview Download |
md5:e53acc4ab2665a50ca3eac9e1eedd9e4
|
2.4 MB | Preview Download |
md5:26b5129addb955d839733bbf110b7899
|
2.4 MB | Preview Download |
md5:5d63a30fb32b414cbb2a4f6cab2f7877
|
2.4 MB | Preview Download |
md5:b55c71abd452cadf394d85137edc519f
|
2.4 MB | Preview Download |
md5:7a20af5ad156a4f2bbc4da95059de908
|
2.4 MB | Preview Download |
md5:de1dae5a71d9bbc7030d103014161f36
|
2.4 MB | Preview Download |
md5:b137bf90b621c48cbe34c52bf97486b4
|
2.4 MB | Preview Download |
md5:b38dc1c29c194f542203f3d77cf54a47
|
2.4 MB | Preview Download |
md5:aea72d891dc8769ef055f9881c27c305
|
2.4 MB | Preview Download |
md5:6bcb151d616b10184e3ed9d65b375ee1
|
2.4 MB | Preview Download |
md5:8ca55343ceda11aa3bf8d128e18adb62
|
2.4 MB | Preview Download |
md5:6ba47631a2f5d4ae0a9dca728629c0a9
|
2.4 MB | Preview Download |
md5:840cc240f6a935e4343a02824b5ef26d
|
2.4 MB | Preview Download |
md5:62df77a3ac3d62b7790ffe26e521fde3
|
2.4 MB | Preview Download |
md5:f28ce87a0c79b970fafa7bfa6c17c27c
|
2.4 MB | Preview Download |
md5:3c7be2ba8a09c5ce1b29170b3ccb76ca
|
2.4 MB | Preview Download |
md5:ee1c130c38ea44f71dbe5b0dd646f34d
|
2.4 MB | Preview Download |
md5:5608e32746a0fca309538328858df740
|
2.4 MB | Preview Download |
md5:99f531b608754a0846f9a1a1c4d5d4e0
|
2.4 MB | Preview Download |
md5:6ac3f183f6112bfef16a87d3f07d073d
|
2.4 MB | Preview Download |
md5:8241ebb2afe4e9ef47549bcf1ac08cef
|
2.4 MB | Preview Download |
md5:973f9c6ae541070c2390cda153a41ced
|
2.4 MB | Preview Download |
md5:69c5ff510691dddbaf87e986d9240a46
|
2.4 MB | Preview Download |
md5:94c8775fc589753fe47046784398078f
|
2.4 MB | Preview Download |
md5:84ea5f79c178b435f336e51b9abe28c2
|
2.4 MB | Preview Download |
md5:f14f9681c427c9ba1309cfc4323e333e
|
2.4 MB | Preview Download |
md5:ee79544ab4f466127797b1fe12d6c6cc
|
2.4 MB | Preview Download |
md5:654c7cbc781fa7c355754ec08753902e
|
2.4 MB | Preview Download |
md5:3a3c508bffd07929274da9e432e59d92
|
2.4 MB | Preview Download |
md5:f71d879db052c4c9c486282139e9c44a
|
2.4 MB | Preview Download |
md5:353019255733eb38a9f70a4d3183eb9e
|
2.4 MB | Preview Download |
md5:cb24ede910f760c3d61e08cb6218472a
|
2.4 MB | Preview Download |
md5:7ba72e86e003705119dbeaa7fcc5b14d
|
2.4 MB | Preview Download |
md5:7e25bc4e72ba324c4a2a8f54ee1601bf
|
2.4 MB | Preview Download |
md5:95eea6eec9f9bceb4a6e0901b1d56a23
|
2.4 MB | Preview Download |
md5:7753df4ce911959a282b069931ad6736
|
2.4 MB | Preview Download |
md5:9569dab2a9f66709114d3f0d8f28f6ad
|
2.4 MB | Preview Download |
md5:641c468e52a472dcbc08ff0a8c3f59f9
|
2.4 MB | Preview Download |
md5:a55cc23edf21d6a8c6f88557f4bfdc02
|
2.4 MB | Preview Download |
md5:f80aba85953c50ded1b9346861b95afc
|
2.4 MB | Preview Download |
md5:b40579bc5e1bae0261c15377a546a4c7
|
2.4 MB | Preview Download |
md5:1f07f2a3aa02da56b20ac28db39eed26
|
2.4 MB | Preview Download |
md5:0cb6b553885331338cc0087bf9cc42f8
|
2.4 MB | Preview Download |
md5:f2ce3d8bf510ed6b5cee74b40ffe2e80
|
2.4 MB | Preview Download |
md5:e12c2cac810c7179b1c0b379a0992a33
|
2.4 MB | Preview Download |
md5:7eee08be4abc74682f59573a480cc72a
|
2.4 MB | Preview Download |
md5:f29cfbaedc77ddb7d800ef0f87fc960c
|
2.4 MB | Preview Download |
md5:7730a5fdd9cc4c0cace6064990821f79
|
2.4 MB | Preview Download |
md5:3695898d826fd9f793fb6e4834623839
|
2.4 MB | Preview Download |
md5:a5ed054ba760f7bf760db71a480b5c52
|
2.4 MB | Preview Download |
md5:e7a361c3c2e90a2dc8eb3fcea01626d7
|
2.4 MB | Preview Download |
md5:51c311443c184d74b5f027c32ee5490a
|
2.4 MB | Preview Download |
md5:4b90eea8f460a5235fbb7f8df448347f
|
2.4 MB | Preview Download |
md5:e6f3ae4cd2405df83e1c6f114dca855a
|
2.4 MB | Preview Download |
md5:4678ad53678a15ac2831379bfc213924
|
2.4 MB | Preview Download |
md5:5f9405ca090c9bfacdefb54316931dc0
|
2.4 MB | Preview Download |
md5:8a7cf61fa24442f559c8bb046c9a79cf
|
2.4 MB | Preview Download |
md5:0dfbf70da9d3517eb31f75c92207d249
|
2.4 MB | Preview Download |
md5:333a6862a0731e09c261ac16dec0ab59
|
2.4 MB | Preview Download |
md5:8fbeab42b67e8b673f2c33a85d916608
|
2.4 MB | Preview Download |
md5:538b0b091b6e2410a6283618b3d8bf97
|
2.4 MB | Preview Download |
md5:927d55011919aa2ce04aee8ab01f290c
|
2.4 MB | Preview Download |
md5:68a5983068099829fde9a084d859662a
|
2.4 MB | Preview Download |
md5:62ce9902107012e9cd04aa23bba432f4
|
2.4 MB | Preview Download |
md5:d7725b95f107c389aa9fbb7137412cd5
|
2.4 MB | Preview Download |
md5:f42dc0db1d828380e79b2913da7962c0
|
2.4 MB | Preview Download |
md5:f8d3b7e8b65383dbff0db2df89408a3b
|
2.4 MB | Preview Download |
md5:d12774a65c0070cc9eef0b4e58d110a0
|
2.4 MB | Preview Download |
md5:b1a7ab1c22b6a1782539a39fad56f2fe
|
2.4 MB | Preview Download |
md5:1e3de07acd98e8a212f71ab62836e119
|
2.4 MB | Preview Download |
md5:374ad8b7afd01de4c949a9fb350e3d64
|
2.4 MB | Preview Download |
md5:0e6487cb189fbafaac7643d35fe1f0da
|
2.4 MB | Preview Download |
md5:3e9a9aed806e23d41e4a9287416ddd00
|
2.4 MB | Preview Download |
md5:5dfa6a9daf30a8395c5290964d944312
|
2.4 MB | Preview Download |
md5:911570b03583fa95846b22424e8dcb1e
|
2.4 MB | Preview Download |
md5:a229fdc4eb7793638273d0d9aca97833
|
2.4 MB | Preview Download |
md5:5d9234fbaf2aa14e94ab25cc3690b768
|
2.4 MB | Preview Download |
md5:1438f60fb4bf6d97166a00d4a9f74ab3
|
2.4 MB | Preview Download |
md5:d5bfa73819affdbe579e3aa59dfae3ad
|
2.4 MB | Preview Download |
md5:8f1893e819dcb1cb4b707c2981596ab1
|
2.4 MB | Preview Download |
md5:d4b7427411b0f89cdecc297c55056d53
|
2.4 MB | Preview Download |
md5:5527b531dcd182d38d4c406d3b6e548d
|
2.4 MB | Preview Download |
md5:e7390ab9a32188cb9e062fd0a9de3d6c
|
2.4 MB | Preview Download |
md5:1e5fcc0959400e1904e9ed2bbe22a204
|
2.4 MB | Preview Download |
md5:373655673492364ad5cc0fe8a9a427fa
|
2.4 MB | Preview Download |
md5:28468937b2e6a06441d4594242ffd3dc
|
2.4 MB | Preview Download |
md5:aba9eb6237378ae3d4e3f77972453c3a
|
2.4 MB | Preview Download |
md5:0914241c68ea35bc21aadfe6a4451ac4
|
2.4 MB | Preview Download |
md5:5c5294fe5b74f5a0fe92ab29d8710138
|
2.4 MB | Preview Download |
md5:62496882c838b6ea7da3b93ca16ff821
|
2.4 MB | Preview Download |
md5:eeb1690dad28a6e92553718514f7cbc7
|
2.4 MB | Preview Download |
md5:284013bcf2d8c71fd7c83c5f741875e9
|
2.4 MB | Preview Download |
md5:cb6faeab951bb282447919c0470bd7ad
|
2.4 MB | Preview Download |
md5:eb541cb7074368ef573e31ad6dcbaad6
|
2.4 MB | Preview Download |
md5:e58bbf3ecfe2128931b3eff3c1834b0d
|
2.4 MB | Preview Download |
md5:fba4b470c508d7acc4cdbfe2660d26ab
|
2.5 MB | Preview Download |
md5:032cb3fc03b4a20b57779533175856a6
|
2.5 MB | Preview Download |
md5:51c4d1d2b0ed950ac21bffc2c48a3f72
|
2.4 MB | Preview Download |
md5:9c75ddf4b097bde7b618880d089133eb
|
2.4 MB | Preview Download |
md5:6d68a24f573a42d07df2cb07100b422b
|
2.4 MB | Preview Download |
md5:485be2fadc3ffcbcd470d44b096b3e2a
|
2.4 MB | Preview Download |
md5:af32f999894e01a80e66cb17372b214b
|
2.4 MB | Preview Download |
md5:6cf8a1d1c3fd933dca424cbf157af331
|
2.4 MB | Preview Download |
md5:b7dba12c8348f6a42ea79a24f740478a
|
2.4 MB | Preview Download |
md5:847cf015b643c2a6ba824aaee0e74ed4
|
2.4 MB | Preview Download |
md5:2dbea1e12e59a48dec1d964aed5bdf77
|
2.4 MB | Preview Download |
md5:85a630f20e57e8a2bc36b87b9ce4db78
|
2.4 MB | Preview Download |
md5:b78cb728d876c26f4d0faaa58787c397
|
2.4 MB | Preview Download |
md5:83f7cbc560441eb5f216892b8ce00fc6
|
2.4 MB | Preview Download |
md5:7e6d1ad0affe70da24641e306cd9277a
|
2.4 MB | Preview Download |
md5:b92b8e0ad336627a42e58ec986518c31
|
2.4 MB | Preview Download |
md5:bd4bce303a36efd015231787f5bef32f
|
2.4 MB | Preview Download |
md5:c354806806d864180da1809d46acb66e
|
2.4 MB | Preview Download |
md5:62f01d54402180f33056703e3c58a1bc
|
2.4 MB | Preview Download |
md5:350aadd1b1dffb56ede507f284ad5b1e
|
2.4 MB | Preview Download |
md5:fcadfa06983e49b51632c80f8befc5c1
|
2.4 MB | Preview Download |
md5:b0dbba04ea51d9d101c9c99b5b0c7bef
|
2.4 MB | Preview Download |
md5:3b6e3ee451c54e2ed3b9be37e9338f16
|
2.4 MB | Preview Download |
md5:7a9f8940ac99d7d4cf6e114da4fb1f0b
|
2.4 MB | Preview Download |
md5:2053fc4ddfe1f3c2bbe9fb6c1609e367
|
2.4 MB | Preview Download |
md5:529215cfe2818712835e9ae9dbac1393
|
2.4 MB | Preview Download |
md5:0321b762ed2011fc8186dbd317a804da
|
2.4 MB | Preview Download |
md5:d0d567ff6b51396ce07ab828e1aa7af9
|
2.4 MB | Preview Download |
md5:b1bc28e4ce9389a0744b6619313d4c2c
|
2.4 MB | Preview Download |
md5:f7ce99f0e7a593b7e31654c5e90984c9
|
2.4 MB | Preview Download |
md5:4afabc84d54cb7b8354ca83619f08999
|
2.4 MB | Preview Download |
md5:34698cd82684dc5b933c8277ebe097c8
|
2.4 MB | Preview Download |
md5:7b1e49e449ebac316721fcd189a33b84
|
2.4 MB | Preview Download |
md5:1edc4145254cc7f119f466718001aa91
|
2.4 MB | Preview Download |
md5:ebc9baa2d10b5b95b808213665515ae6
|
2.4 MB | Preview Download |
md5:ec0e263aea2d2982eb29b573736a2569
|
2.4 MB | Preview Download |
md5:be9c891fde7c2d4cb76288f1c7f876a0
|
2.4 MB | Preview Download |
md5:e4e2e0406c41fb2f101ad2fcd760074a
|
2.4 MB | Preview Download |
md5:ff3bf0d6a6de0b79f00c2af6ab1d36bf
|
2.4 MB | Preview Download |
md5:d3531fd1b6108245c0633589cdd865fa
|
2.4 MB | Preview Download |
md5:6b4c78bc07fde9677bd9fe4c6760d931
|
2.4 MB | Preview Download |
md5:06083b731fb2f7b93a2c3b41e68eb65a
|
2.4 MB | Preview Download |
md5:6c51a8e275dabeb931af43f1685a64f0
|
2.4 MB | Preview Download |
md5:f1fc47a7a71b38bc8b939680c4b3d6a3
|
2.4 MB | Preview Download |
md5:aafe6960534d415d900fa9ac8e880ffa
|
2.4 MB | Preview Download |
md5:9ea315bd931da02bc72b917466e3bbda
|
2.4 MB | Preview Download |
md5:f80cd3196170643a791e90ba097b45f8
|
2.4 MB | Preview Download |
md5:79dc345600a2be0b1fc1124f2f4bd22b
|
2.4 MB | Preview Download |
md5:641ebf3994e5b0efd8413b753077b632
|
2.4 MB | Preview Download |
md5:5c17adf5f58074f646393ec2a3b3654a
|
2.4 MB | Preview Download |
md5:3eadc8db3edcaa28e4c00f56f256465f
|
2.4 MB | Preview Download |
md5:0a5dfb3f18beaaa3113043d0eea99f68
|
2.4 MB | Preview Download |
md5:e440d8cd4ed5c04db25e6aaea1b54445
|
2.4 MB | Preview Download |
md5:cc428ec0dd9181067580bdba5a951e97
|
2.4 MB | Preview Download |
md5:70995f1ab622a5fbe97bf1778d45c453
|
2.4 MB | Preview Download |
md5:ec41b6bc0af6088426c0febd7597a0e3
|
2.4 MB | Preview Download |
md5:b265e70a31295671faa48dea8b2c8829
|
2.4 MB | Preview Download |
md5:e70e367e71f15f9e6b56f22f2ff36489
|
2.4 MB | Preview Download |
md5:9fb2857f108c8e018cbeeedb623cd238
|
2.4 MB | Preview Download |
md5:f78816e591378a2e9aa123d258265788
|
2.4 MB | Preview Download |
md5:7bf840178bb474ee18084b29e223fe3b
|
2.4 MB | Preview Download |
md5:b7ee268ed815d3333cf4f8449bc277bd
|
2.4 MB | Preview Download |
md5:9527fc29d173618df27a2b4779cedda5
|
2.4 MB | Preview Download |
md5:72ae04f4348e5dd7a56b310171f5f8b2
|
2.4 MB | Preview Download |
md5:d75f41cedda6e9eb2798728efbffe99b
|
2.4 MB | Preview Download |
md5:23d831b6f0c7635ceb01c1a377b84e94
|
2.4 MB | Preview Download |
md5:812bc47ac59eb71d20ec29ccb0a35466
|
2.4 MB | Preview Download |
md5:0f2935598fa20e45bf66db0751964080
|
2.4 MB | Preview Download |
md5:da22f697bed7d8f1f0ae857bcb0b1a0a
|
2.4 MB | Preview Download |
md5:32071f83be55c0aef4bf41f3f1b224f4
|
2.4 MB | Preview Download |
md5:176d72c19981d4c0f6ab301ab40398bb
|
2.4 MB | Preview Download |
md5:6a6547a7abff2d41fea28f29e8a97818
|
2.4 MB | Preview Download |
md5:d10a045e04cdbd6ea1daf7d1c7dc01ba
|
2.4 MB | Preview Download |
md5:189bc2e7fee2c6216f0e397bad96a9c5
|
2.4 MB | Preview Download |
md5:7a645ff34a81df05272ccee51ec996a0
|
2.4 MB | Preview Download |
md5:fcb302f620527a4dd1ad6699489e3fe5
|
2.4 MB | Preview Download |
md5:be192eb8dbfac1145c5d1c1080d9e47c
|
2.4 MB | Preview Download |
md5:c2860664df34814bdd34314db2eaacf6
|
2.4 MB | Preview Download |
md5:e03f9a8e296f95c783dfee7ac3056c92
|
2.4 MB | Preview Download |
md5:20e2fa5313bb439dd0ba86bbf2c5769a
|
2.4 MB | Preview Download |
md5:3a256b54997745faf53dc27eda1417fa
|
2.4 MB | Preview Download |
md5:1bc2b5416025fdd00223479f038c4f81
|
2.4 MB | Preview Download |
md5:da15babf7e64fbae011d4b6a2fc43cd5
|
2.4 MB | Preview Download |
md5:3ab265c440c3c2b0a8fd08d5572ddbb2
|
2.4 MB | Preview Download |
md5:5ccf530487a572fcc864e540d07928b8
|
2.4 MB | Preview Download |
md5:f386ee76519ff7d6141c0b755fcee368
|
2.4 MB | Preview Download |
md5:dd9a1bf63c54ba3f7b40fb8db485a293
|
2.4 MB | Preview Download |
md5:55c710aa4c29542a7889185bf206fd8c
|
2.4 MB | Preview Download |
md5:63aff32c317c10a31bdd2c21963aceed
|
2.4 MB | Preview Download |
md5:d05f8ab939718dc1a20ab667485b951c
|
2.4 MB | Preview Download |
md5:358ca9593b612e1add11e4ce477a0d99
|
2.4 MB | Preview Download |
md5:bbdc6f65543b9c0071ee73f8ed1a2ce5
|
2.4 MB | Preview Download |
md5:22b1de8020481703850fe04735bb733e
|
2.4 MB | Preview Download |
md5:a303661af1dec3c9457b4498d01770a7
|
2.4 MB | Preview Download |
md5:3b759c5fd6297c5237ed9899c5687696
|
2.4 MB | Preview Download |
md5:69291e5ccd44ee0837e95de7f4ad2d7a
|
2.4 MB | Preview Download |
md5:fe10aa8c2975c033adfd9dd66e29f6ba
|
2.4 MB | Preview Download |
md5:2f69962bd37e13da34861ff81b464bef
|
2.4 MB | Preview Download |
md5:86cb7e80f967178385df2ff4d32f6e6b
|
2.5 MB | Preview Download |
md5:7889e3707c333f1f3ac6460e0458b6a1
|
2.5 MB | Preview Download |
md5:0bc956984234dd943f76103d481bede0
|
2.5 MB | Preview Download |
md5:8c08f3b1da2fc76dffde0b0d161d5e46
|
2.4 MB | Preview Download |
md5:a0079bfd2a974ecccf25851c4c4bfd90
|
2.5 MB | Preview Download |
md5:e5f279341c023d31a43496210b10655a
|
2.4 MB | Preview Download |
md5:a0870b52e2220ffaf30589c0f6b5ed7b
|
2.4 MB | Preview Download |
md5:a1a439f5117f7e7d4798587b6b23113b
|
2.4 MB | Preview Download |
md5:ccfbf4bb7cabb792e36a3c4af4c53643
|
2.4 MB | Preview Download |
md5:4ba629885e98d76b5b9c07e74ae45f22
|
2.4 MB | Preview Download |
md5:1bc2d37f4f3ee17d7808cee246773536
|
2.4 MB | Preview Download |
md5:c882dd27093c839db580eecdf46165d5
|
2.4 MB | Preview Download |
md5:9c6126d1243974c59f629dbe7d33ffef
|
2.4 MB | Preview Download |
md5:66017e95b636a4c344f421ec180ecf22
|
2.4 MB | Preview Download |
md5:ce06c3fcc94e86c76b4eae80e69391f0
|
2.4 MB | Preview Download |
md5:8e06ae2a0d51e8b74b45e353e4b61485
|
2.4 MB | Preview Download |
md5:7ec95dc633778727d73cfe1a9e07b36f
|
2.4 MB | Preview Download |
md5:f0155b50b21b0c06138639eab1bb6b3b
|
2.4 MB | Preview Download |
md5:06a2dad7b6ca2170cddd18e835b84c0f
|
2.4 MB | Preview Download |
md5:26e83f613d0b9b2562ea4d3daad3f428
|
2.4 MB | Preview Download |
md5:a84f2b3241f76b5ebe4299c311c85fbb
|
2.4 MB | Preview Download |
md5:0cb41523b6744031e606e691d159aedb
|
2.4 MB | Preview Download |
md5:67e1e6f8cb6927d365382f32a57c35d1
|
2.4 MB | Preview Download |
md5:8c84b08f5f505bd2c2b2a5e590c13df3
|
2.4 MB | Preview Download |
md5:cd6dcaffdf45b1ba4f23fd879f57701a
|
2.4 MB | Preview Download |
Additional details
Identifiers
Subjects
- Meise Botanic Garden
- http://purl.org/dc/terms/rightsHolder
- https://ror.org/01h1jbk91
- http://rs.tdwg.org/dwc/terms/institutionID
- Camera trap images Meise Botanic Garden
- http://rs.tdwg.org/dwc/terms/datasetName
- Woodland
- http://rs.tdwg.org/dwc/terms/habitat
- Machine Observation
- http://rs.tdwg.org/dwc/terms/basisOfRecord
- https://creativecommons.org/publicdomain/zero/1.0/legalcode
- http://purl.org/dc/terms/license
- BE
- http://rs.tdwg.org/dwc/terms/countryCode